RARE - Idéalement situé à l'entrée de Cénord côté rocade, sur un axe passant, un bâtiment indépendant d'environ 1251 m² comprenant environ 795 m² au sol dont environ 491 m² de stockage/ atelier (disposant de trois rideaux métalliques, possibilité d'installer des sectionnelles), une mezzanine pour environ 510 m² (dalle béton), des locaux sociaux pour 51 m² et environ 225 m² de bureaux de plain-pied à rénover.
Un monte-personne dessert la mezzanine.
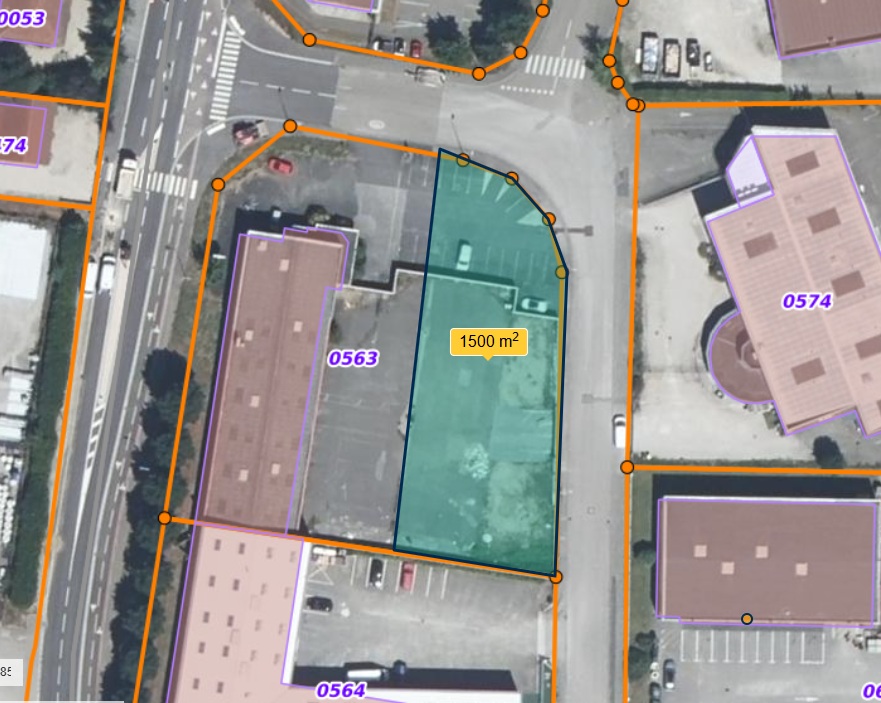
Parcelle privative de 3772 m² dont 2 600 m² en enrobé disposant d'une clôture. Possibilité d'extention (absence pollution des sols). Possibilité de détacher une partie du terrain à bâtir d'environ 1500 m².
Idéal activité de show-room, négoce et siège social.
Possibilité de location et de division
Honoraires inclus charge vendeur
hauteur 6.50 m au faitage
Portes 4 m x 4.80 m (h)
Les informations sur les risques auxquels ce bien est exposé sont disponibles sur le site Géorisques.
Type : Local d'activités
Surface : 1251 m²
Disponibilité : Immédiate
Prix HD : 1 050 000,00 € FAI
Prix HD/m² : 839,33 €
Montant taxe foncière : 9 662,00 €
Hors droit d'enregistrement et TVA
Honoraires à charge vendeur
DPE : Vierge
GES : Vierge


Située en plein cœur de Bourg-en-Bresse, TRABLY BUSINESS met à disposition de ses clients professionnels son savoir-faire en immobilier d'entreprise depuis près de 30 ans. Vente de locaux commerciaux ou d'activité, vente de bureaux, location de bureux à Bourg-en-Bresse et dans l'Ain nous sommes spécialisés dans l'immobilier tertiaire , assurant la gestion locative, l'asset management et le syndic de copropriétés pour les locaux commerciaux et les bureaux.. Avec près de 500 locaux professionnels gérés pour environ 300 propriétaires ou copropriétaires, notre connaissance approfondie du marché immobilier d'entreprise nous permet de fournir des conseils spécifiques aux chefs d'entreprise pour une gestion optimale de leurs biens.